Melissa Kasırgası Küba’ya Vurdu, 735 Bin Kişi Tahliye Edildi

featured

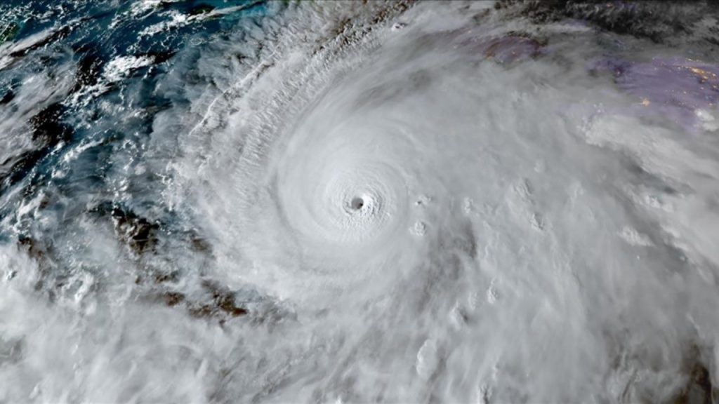
Karayipler bölgesinde gücünü artıran Melissa Kasırgası’nın, Küba’nın doğu kesimlerine ulaştığı bildirildi. ABD Ulusal Kasırga Merkezi (NHC) tarafından yapılan açıklamada, kasırganın 3. kategori seviyesinde olduğu ve Küba’nın doğu sahillerine ulaştığı belirtildi. Yetkililer, kasırganın etkisini kaybolana kadar halka sığınaklarda kalmaları konusunda uyarılarda bulundu. Küba Devlet Başkanı Miguel Diaz Canel, Melissa Kasırgası nedeniyle 735 binden fazla kişinin tahliye edildiğini ve kasırganın büyük hasara neden olduğunu açıkladı.

Kasırganın etkisi altında kalan bölgede yaşayan insanların güvenliğini sağlamak için alınan tedbirlerin artırıldığı belirtildi. Halkın can ve mal güvenliğini korumak adına gerekli önlemlerin alınması için çalışmaların sürdüğü ifade edildi. Melissa Kasırgası’nın Küba’ya ulaşmasıyla birlikte, bölgedeki yaşamın olumsuz yönde etkilendiği ve altyapıda ciddi hasarlar meydana geldiği bilgisi paylaşıldı.

Kasırganın neden olduğu yağmur ve fırtına sonucunda, evlerin zarar gördüğü ve elektrik kesintilerinin yaşandığı belirtildi. Bölgede bulunan yerleşim alanlarının tahliye edilmesiyle birlikte, insanların güvenli bölgelere nakledildiği ve yardım ekiplerinin bölgede aktif bir şekilde çalışmalarını sürdürdüğü vurgulandı. Melissa Kasırgası’nın etkisi altındaki bölgelerdeki insanların mağduriyetlerinin en aza indirilmesi için hummalı bir şekilde çalışmaların yürütüldüğü belirtildi.

Kasırganın Küba’ya ulaşmasıyla birlikte, bölgede yaşayan insanların güvenliği için alınan tedbirlerin önemli bir adım olduğu vurgulandı. Yetkililer, kasırganın neden olduğu olumsuz etkilerin en aza indirilmesi için sürekli olarak çalışmaların devam edeceği bilgisini paylaştı. Melissa Kasırgası’nın, bölgedeki insanların hayatını olumsuz yönde etkilediği ve altyapıda ciddi hasarlar meydana getirdiği kaydedildi.

Göz Atın

Kasırganın neden olduğu yağmur ve fırtına sonucunda, evlerin zarar gördüğü ve elektrik kesintilerinin yaşandığı belirtildi. Bölgedeki yerleşim alanlarının tahliye edilmesiyle birlikte, insanların güvenli bölgelere nakledildiği ve yardım ekiplerinin bölgede aktif bir şekilde çalışmalarını sürdürdüğü vurgulandı. Melissa Kasırgası’nın etkisi altındaki bölgelerdeki insanların mağduriyetlerinin en aza indirilmesi için hummalı bir şekilde çalışmaların yürütüldüğü belirtildi.

Kasırganın etkisi altında kalan bölgede yaşayan insanların güvende olması için alınan tedbirlerin önemine vurgu yapıldı. Yetkililer, kasırganın neden olduğu hasarın en aza indirilmesi için yoğun çaba harcandığını ve sürecin yakından takip edildiğini belirtti. Melissa Kasırgası’nın bölgedeki insanların yaşamını olumsuz yönde etkilediği ve altyapıda ciddi zararlara yol açtığı ifade edildi.

Kasırganın neden olduğu yağmur ve fırtına sonucunda, evlerin zarar gördüğü ve elektrik kesintilerinin yaşandığı belirtildi. Bölgede bulunan yerleşim alanlarının tahliye edilmesiyle birlikte, halkın güvenli bölgelere nakledildiği ve yardım ekiplerinin bölgede aktif bir şekilde çalışmalarını sürdürdüğü vurgulandı. Melissa Kasırgası’nın etkisi altındaki bölgelerdeki insanların mağduriyetlerinin en aza indirilmesi için titizlikle çalışmaların yürütüldüğü belirtildi.

Kasırganın Küba’ya ulaşmasıyla birlikte, bölgedeki insanların güvenliğini sağlamak adına alınan tedbirlerin önemine dikkat çekildi. Yetkililer, kasırganın neden olduğu olumsuz etkilerin en aza indirilmesi için sürekli olarak çalışmaların devam edeceğini bildirdi. Melissa Kasırgası’nın, bölgedeki insanların hayatını olumsuz yönde etkilediği ve altyapıda ciddi hasarlar meydana getirdiği kaydedildi.

Benzer Haberler

Bir Cevap Yaz

E-posta adresiniz yayınlanmayacak. Gerekli alanlar * ile işaretlenmişlerdir

Giriş Yap

Giriş Yap

Yazar Haber ayrıcalıklarından yararlanmak için hemen giriş yapın veya hesap oluşturun, üstelik tamamen ücretsiz!